Harris, Matagorda counties under burn ban
The burn bans prohibit all outdoor burnings in Matagorda County, and almost all outdoor burnings for Harris County.
Texas May 3 election: Houston-area election results by county
Where to find Houston-area election results for the May 3 elections in Texas.
Houston weather: Flood watch for Southeast Texas counties Thursday, Friday
A Flood Watch goes into effect for Brazoria, Matagorda, Wharton, Jackson and Calhoun counties Thursday morning through Friday afternoon with storms expected to move across the Houston area.
Matagorda County: Man found dead in Bay City house fire, officials say
A man was found dead during a house fire in Bay City on Sunday. State officials have been called to help with the investigation.
Matagorda County: Ammonia leak hospitalizes 10 facility employees
The leak happened at a Roehm USA facility in Matagorda County. County officials say ammonia was released into the atmosphere "due to a PSV failure on a brine chiller."
Matagorda County: Ammonia leak hospitalizes 10 facility employees
Employees at a Matagorda County facility were sent to a hospital after an ammonia leak at the facility, according to the company.
Red flag (fire weather) warning for Houston area: What it means
A red flag warning, or fire weather warning, is in effect for several Houston-area counties on Tuesday. Here's what that means.
Rap Superstar That Mexican OT receives official proclamation from Bay City, Texas
Rap superstar, That Mexican OT(Outta Texas), received an official proclamation from Bay City, Texas in recognition of his impact on music, culture, and the Latino community.
FULL INTERVIEW: That Mexican OT receives proclamation from Bay City, Texas
FOX 26's Coco Dominguez caught up with That Mexican OT after he received an official proclamation from Bay City, Texas.
Section of Sargent Beach closed due to erosion, infrastructure concerns
A section of Sargent Beach has been closed indefinitely due to concerns about erosion and compromised infrastructure, officials say.
Troy Nehls reelected US House Representative for 22nd District of Texas
Troy Nehls, Republican candidate for District 22 in Texas, has been reelected to a third term of office.
Early voting 2024: What you need to know
Early voting begins in Texas on Monday. Here's what you need to know about where to vote, what's on the ballot and what you need to bring.
Coast Guard searching for missing divers in Matagorda
The U.S. Coast Guard is conducting a search for two divers who went missing on Wednesday, 15 miles offshore of Matagorda.
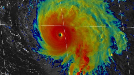
Tropical Storm Beryl: Matagorda County residents prepare amid voluntary evacuation
People along the coast of Texas are preparing for Tropical Storm Beryl’s arrival. Matagorda County issued a voluntary evacuation for those living along the coast.
Matagorda County residents prepare homes for Beryl
In Matagorda County, local leaders have issued a voluntary evacuation order for residents living along the coast. FOX 26's Jade Flury reports how the county is bracing for Tropical Storm Beryl.
Matagorda County issues voluntary evacuation amid Hurricane Watch
A voluntary evacuation notice has been issued for areas in Matagorda County as Tropical Storm Beryl makes its way to the Texas coast.
Matagorda County leaders on Hurricane Watch
Mitch Thames with the Emergency Management team in Matagorda County joins FOX 26 to share how they're preparing after a Hurricane Watch was issued for the area.
Houston weather: Latest watches, warnings, advisories ahead of arctic blast
The arctic blast is being felt in the Houston area, and several warnings, advisories and watches have been issued.
Former Texas sheriff's deputy sentenced for producing, possessing child pornography
A former deputy with the Matagorda County Sheriff's Office has been sentenced for crimes related to the possession and production of child pornography.
Matagorda County officials urging residents to prepare for upcoming hurricane season
Hurricane season is very quickly approaching and Matagorda County officials are urging readiness for its county residents.



















