Matagorda County officials urging residents to prepare for upcoming hurricane season
Hurricane season is very quickly approaching and Matagorda County officials are urging readiness for its county residents.
Hurricane season is very quickly approaching and Matagorda County officials are urging readiness for its county residents.
Bay City police searching for missing man last seen in March
Faustino Silvas, 5'4" tall and 150 pounds, was last seen on March 2 wearing a dark-colored jacket, jeans, and a hat. The police department has received reports of sightings around town and is asking for the public's help in finding him.
Faustino Silvas, 5'4" tall and 150 pounds, was last seen on March 2 wearing a dark-colored jacket, jeans, and a hat. The police department has received reports of sightings around town and is asking for the public's help in finding him.
Man accused of murdering woman in Bay City arrested in Dallas-Fort Worth area
A man accused of murdering a woman in Bay City was found and arrested in the Dallas-Fort Worth area.
A man accused of murdering a woman in Bay City was found and arrested in the Dallas-Fort Worth area.
Local contractor exposed in FOX 26 report charged with theft in four counties
Angela Wakat brought Michael Hurte, DBA Texas Custom Barns, to our attention last February. She got a judgement against him after all she says she got for her money was a pile of dirt.
Angela Wakat brought Michael Hurte, DBA Texas Custom Barns, to our attention last February. She got a judgement against him after all she says she got for her money was a pile of dirt.
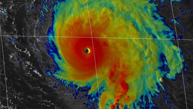
Invest 95-L to bring much needed rain to Houston area
Disorganized showers and storms continue over the northwest Gulf, and satellite imagery shows that brief surface circulations have been coming and going today within a broad area of lower pressure - this often indicates that a cluster of storms is slowly coming together, but is still too disorganized to be a tropical depression or storm.
Disorganized showers and storms continue over the northwest Gulf, and satellite imagery shows that brief surface circulations have been coming and going today within a broad area of lower pressure - this often indicates that a cluster of storms is slowly coming together, but is still too disorganized to be a tropical depression or storm.
One Tank Trip: Things to do, eat, see in Palacios
FOX 26's Chelsea Edwards shows us around Palacios and gives us a look at some of the food and shopping you can check out in the Texas city.
FOX 26's Chelsea Edwards shows us around Palacios and gives us a look at some of the food and shopping you can check out in the Texas city.
One Tank Trip: Exploring Palacios
FOX 26's Chelsea Edwards shares how history, food and fun all come together in the Palacios, Texas, just a one-tank trip away from Houston.
FOX 26's Chelsea Edwards shares how history, food and fun all come together in the Palacios, Texas, just a one-tank trip away from Houston.
Silver Alert discontinued after man, 82, reported missing from Bay City found
A Silver Alert has been discontinued for Hairl Bundick, 82, who was found after being reported missing from Bay City in Matagorda County on Sunday.
A Silver Alert has been discontinued for Hairl Bundick, 82, who was found after being reported missing from Bay City in Matagorda County on Sunday.
Officials working to put out flames at Bay City funeral home
It's unclear what caused the fire, as it's an active scene but police are urging residents to avoid the area.
It's unclear what caused the fire, as it's an active scene but police are urging residents to avoid the area.
AMBER ALERT issued for teen believed to be abducted by man last seen in Bay City
Officials have issued an AMBER ALERT Friday for a teenage girl believed to be abducted by a man in Bay City, Texas.
Officials have issued an AMBER ALERT Friday for a teenage girl believed to be abducted by a man in Bay City, Texas.
LIST: Houston-area schools still closed due to Nicholas
Some Southeast Texas school districts have announced plans to remain closed due to damage from Nicholas.
Some Southeast Texas school districts have announced plans to remain closed due to damage from Nicholas.
Continued team coverage on Hurricane Nicholas as it nears landfall
FOX 26 is your Gulf Coast Weather Authority and we continue our team coverage of Hurricane Nicholas, which is expected to make landfall, and our Dr. Jim Siebert says as of midnight, it has yet to make landfall but should do so overnight.
FOX 26 is your Gulf Coast Weather Authority and we continue our team coverage of Hurricane Nicholas, which is expected to make landfall, and our Dr. Jim Siebert says as of midnight, it has yet to make landfall but should do so overnight.
Hurricane Nicholas batters Matagorda County
FOX 26 Reporter Matthew Seedorf updates The Factor on conditions in Matagorda County, near where Nicholas will make landfall.
FOX 26 Reporter Matthew Seedorf updates The Factor on conditions in Matagorda County, near where Nicholas will make landfall.
Animals that survived Hurricane Ida now available for adoption in Houston
Houston rescue teams are coming together to evacuate animals stuck in hurricane-ravaged Louisiana. Others are taking food and supplies to pets and livestock still in the state.
Houston rescue teams are coming together to evacuate animals stuck in hurricane-ravaged Louisiana. Others are taking food and supplies to pets and livestock still in the state.
Relentless rain, coastal flooding in Matagorda County
It's been a heavy rain-filled week in the Houston area and it doesn't seem to be stopping soon. FOX 26 Houston's Matthew Seedorff shows us how severe the flooding was in Matagorda County.
It's been a heavy rain-filled week in the Houston area and it doesn't seem to be stopping soon. FOX 26 Houston's Matthew Seedorff shows us how severe the flooding was in Matagorda County.
Body found during search for boy, 10, swept out from shore in Matagorda
A body has been recovered during the search for a missing 10-year-old boy who was swept out from shore in Matagorda, the sheriff’s office confirms.
A body has been recovered during the search for a missing 10-year-old boy who was swept out from shore in Matagorda, the sheriff’s office confirms.
Thirty-three unmarked graves detected in Pledger
A Matagorda County family is receiving a Historic Texas Cemetery designation for family property where they believe they have found 33 unmarked graves.
A Matagorda County family is receiving a Historic Texas Cemetery designation for family property where they believe they have found 33 unmarked graves.
Beach town of Sargent in Matagorda County still dealing with flooding
Sargent residents say they need the state and the county’s help. They had two big rain storms recently.
Sargent residents say they need the state and the county’s help. They had two big rain storms recently.
50 kilos of suspected cocaine wash up on Matagorda Co. beaches just days apart
The sheriff's office is warning the public not to pick up suspicious packages after several kilos of suspected cocaine washed up on two Matagorda County beaches in less than a week.
The sheriff's office is warning the public not to pick up suspicious packages after several kilos of suspected cocaine washed up on two Matagorda County beaches in less than a week.
Harris, Fort Bend, other counties must close bars, rollback business capacity
Harris, Fort Bend, Matagorda, Waller and other counties have crossed the state's COVID-19 hospitalization threshold triggering rollbacks on the state's reopenings. Bars will close and business capacities will decrease.
Harris, Fort Bend, Matagorda, Waller and other counties have crossed the state's COVID-19 hospitalization threshold triggering rollbacks on the state's reopenings. Bars will close and business capacities will decrease.



















