Local doctor joining COVID-19 vaccine trials
Dr. Kirk Koepsel is a podiatrist with a background in bacteriology virology parasitology and epidemiology, but he’s switching to the other side of the needle and enrolling in one late-stage trial to help find a fix.
Dr. Kirk Koepsel is a podiatrist with a background in bacteriology virology parasitology and epidemiology, but he’s switching to the other side of the needle and enrolling in one late-stage trial to help find a fix.
Galveston's 61st Street Fishing Pier re-opened Tuesday following TS Beta
Despite the threats of serious damage from Tropical Storm Beta, Galveston's 61st Street Fishing Pier reopened on Tuesday.
Despite the threats of serious damage from Tropical Storm Beta, Galveston's 61st Street Fishing Pier reopened on Tuesday.
Officials urging Houstonians to stay weather aware this week
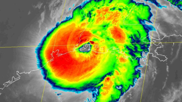
Jeff Lindner, a meteorologist with the Harris County Flood Control District, is urging Houstonians to pay close attention to the radars and forecasts starting Sunday night into Wednesday morning, as Tropical Storm Beta continues to move inland towards the Texas coast.
Jeff Lindner, a meteorologist with the Harris County Flood Control District, is urging Houstonians to pay close attention to the radars and forecasts starting Sunday night into Wednesday morning, as Tropical Storm Beta continues to move inland towards the Texas coast.
Some coastal residents to ride out Tropical Storm Beta
On Sunday, a storm surge was noticeable in coastal towns near the Gulf of Mexico. Forecasters predict a storm surge of up to roughly five feet in some areas.
On Sunday, a storm surge was noticeable in coastal towns near the Gulf of Mexico. Forecasters predict a storm surge of up to roughly five feet in some areas.
Galveston College limiting access to campus ahead of Tropical Storm Beta
The shelter-in-place will limit access to and from the campus to essential personnel and student residents.
The shelter-in-place will limit access to and from the campus to essential personnel and student residents.
Police: Man arrested after witnesses reported he jumped from Galveston Causeway Bridge
One man was arrested on Tuesday afternoon after police received reports that he jumped from the Galveston Causeway.
One man was arrested on Tuesday afternoon after police received reports that he jumped from the Galveston Causeway.
Two people drown within 24 hours on Galveston Island
A deadly holiday weekend on Galveston Island as two people drowned within 24 hours.
A deadly holiday weekend on Galveston Island as two people drowned within 24 hours.
Father drowns, daughter rescued in Galveston
A father has died after being rescued by Galveston Beach Patrol on Sunday.
A father has died after being rescued by Galveston Beach Patrol on Sunday.
Pro-Trump boat parade held in Galveston Bay
Hundreds of vessels, large and small, were gathered for a boat parade that cruised up the shoreline and then floated-together, out in the bay.
Hundreds of vessels, large and small, were gathered for a boat parade that cruised up the shoreline and then floated-together, out in the bay.
Galveston chef supporting residents affected by Hurricane Laura
A Galveston chef is cooking up assistance for a small town hit hard by Hurricane Laura.
A Galveston chef is cooking up assistance for a small town hit hard by Hurricane Laura.
Residents return to Galveston Island relieved to see area saved from Hurricane Laura
After Hurricane Laura stayed east of Galveston Island, residents are relieved as they make their way back home.
After Hurricane Laura stayed east of Galveston Island, residents are relieved as they make their way back home.
Hurricane Laura moving inland over Louisiana after making landfall as Cat 4
Hurricane Laura made landfall and brings unsurvivable storm surge with large and destructive waves that will cause catastrophic damage from Sea Rim State Park, Texas, to Intracoastal City, Louisiana.
Hurricane Laura made landfall and brings unsurvivable storm surge with large and destructive waves that will cause catastrophic damage from Sea Rim State Park, Texas, to Intracoastal City, Louisiana.
Galveston under curfews for next three days due to Hurricane Laura
The City of Galveston has implemented a series of curfews over the next three nights in anticipation of Hurricane Laura. Anyone who violates curfew could face up to a $1,000 fine.
The City of Galveston has implemented a series of curfews over the next three nights in anticipation of Hurricane Laura. Anyone who violates curfew could face up to a $1,000 fine.
Galveston-Port Bolivar Ferry to close Tuesday at 11:30 p.m.
TxDOT’s Galveston-Bolivar Ferry will pause service at 11:30 p.m. Tuesday, August 25.
TxDOT’s Galveston-Bolivar Ferry will pause service at 11:30 p.m. Tuesday, August 25.
City of Galveston issues mandatory evacuation order
City of Galveston Mayor Pro Tem Craig Brown signed a mandatory evacuation Tuesday instructing all Galveston residents to begin leaving the island.
City of Galveston Mayor Pro Tem Craig Brown signed a mandatory evacuation Tuesday instructing all Galveston residents to begin leaving the island.
Nursing homes in Galveston under mandatory evacuation orders
Galveston's OEM has issued a mandatory evacuation of nursing homes and assisted-living facilities ahead of the storms.
Galveston's OEM has issued a mandatory evacuation of nursing homes and assisted-living facilities ahead of the storms.
Some families evacuating Bolivar Peninsula ahead of storms churning in the Gulf of Mexico
Many people along the Texas Gulf Coast are beginning to evacuate ahead of possible hurricanes later this week.
Many people along the Texas Gulf Coast are beginning to evacuate ahead of possible hurricanes later this week.
Galveston Co. officials prepare for storms
Hurricane watches are in effect along the Louisiana coast as two tropical systems are expected to make landfall this week.
Hurricane watches are in effect along the Louisiana coast as two tropical systems are expected to make landfall this week.
Galveston prepares for tropical storms amid COVID-19
Being prepared for Hurricane season is almost second nature for not only the residents in Dickinson, but the entire county. But adding a global pandemic to that will bring new challenges.
Being prepared for Hurricane season is almost second nature for not only the residents in Dickinson, but the entire county. But adding a global pandemic to that will bring new challenges.
UTMB Health lays off 200 employees
UTMB’s interim president Dr. Ben Raimer sent a notice out to its roughly 13,000 employees Monday afternoon, saying that 1.5% of its staff will now be laid off.
UTMB’s interim president Dr. Ben Raimer sent a notice out to its roughly 13,000 employees Monday afternoon, saying that 1.5% of its staff will now be laid off.



















