Black man serving life for stealing hedge clippers paroled in Louisiana
A Black man whose life sentence for making off with hedge clippers in a 1997 burglary drew scathing criticism from the chief justice of Louisiana’s Supreme Court was granted parole Thursday.
A Black man whose life sentence for making off with hedge clippers in a 1997 burglary drew scathing criticism from the chief justice of Louisiana’s Supreme Court was granted parole Thursday.
Boy allegedly steals school bus, leads police on street chase before crashing
An 11-year-old Louisiana boy was taken into custody by police on Sunday, after stealing a school bus and leading officers on a chase, which ended in a crash.
An 11-year-old Louisiana boy was taken into custody by police on Sunday, after stealing a school bus and leading officers on a chase, which ended in a crash.
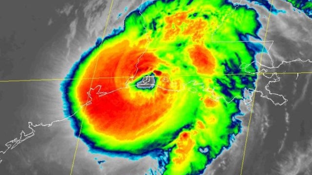
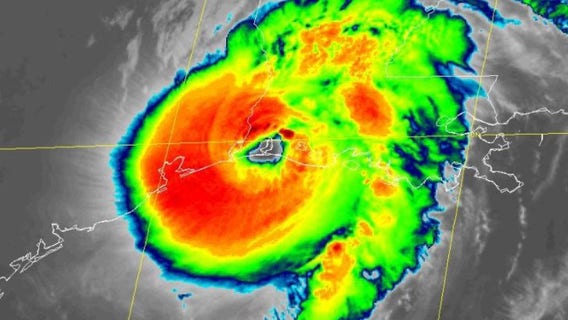
Hurricane Delta continues moving inland, winds now at 75 miles per hour
Delta is now a category 1 hurricane with winds at 75 miles per hour. Delta made landfall around 6 p.m. Friday evening.
Delta is now a category 1 hurricane with winds at 75 miles per hour. Delta made landfall around 6 p.m. Friday evening.
Man, 24, arrested in death of woman who was shot after leaving Liberty Co. church
The Liberty County Sheriff’s Office says it appears the 29-year-old woman had been shot several times through her driver’s side window shortly after leaving a church service in the area.
The Liberty County Sheriff’s Office says it appears the 29-year-old woman had been shot several times through her driver’s side window shortly after leaving a church service in the area.
New Orleans officer accused of molesting teen whose sex assault he was investigating, report says
A New Orleans police officer is behind bars, accused of molesting a teenage girl while he was investigating a separate sexual assault case in which she was the victim.
A New Orleans police officer is behind bars, accused of molesting a teenage girl while he was investigating a separate sexual assault case in which she was the victim.
Group of Hurricane Laura evacuees must leave Spring hotel
A group of Hurricane Laura evacuees, who are unable to return home yet, are being asked to leave the Spring hotel where they are currently seeking shelter.
A group of Hurricane Laura evacuees, who are unable to return home yet, are being asked to leave the Spring hotel where they are currently seeking shelter.
Police: 3 brothers accused of raping 10-year-old girl; 1 is on the run
Police in Kenner, Louisiana, say three brothers have been accused of raping a 10-year-old girl after forcing their way into a bathroom where she was hiding.
Police in Kenner, Louisiana, say three brothers have been accused of raping a 10-year-old girl after forcing their way into a bathroom where she was hiding.
Oldest living WWII veteran celebrates 111th birthday
A man considered to be the nation's oldest living World War II veteran celebrated his 111th birthday this weekend.
A man considered to be the nation's oldest living World War II veteran celebrated his 111th birthday this weekend.
11-year-old boy accused of killing 39-year-old relative in Louisiana
The boy was arrested Sept. 7 on a charge of second-degree murder, authorities said.
The boy was arrested Sept. 7 on a charge of second-degree murder, authorities said.
Police: Toddler killed in shooting along Louisiana road
Police in Louisiana say a toddler was fatally shot while riding in a vehicle along a Louisiana road late Friday.
Police in Louisiana say a toddler was fatally shot while riding in a vehicle along a Louisiana road late Friday.
Operation Blue Roof revived to help with Hurricane Laura recovery
The Operation Blue Roof program is currently active in Allen, Beauregard, Calcasieu, Cameron, Jefferson Davis, and Vernon parishes.
The Operation Blue Roof program is currently active in Allen, Beauregard, Calcasieu, Cameron, Jefferson Davis, and Vernon parishes.
Key air monitors offline after Laura hits Louisiana gas hub
While the chlorine fire was being monitored as a potential health threat, Louisiana environmental spokesman Greg Langley says he knows of no other major industrial health risks from the storm in the state. He said restoring power and water was a bigger priority.
While the chlorine fire was being monitored as a potential health threat, Louisiana environmental spokesman Greg Langley says he knows of no other major industrial health risks from the storm in the state. He said restoring power and water was a bigger priority.
Gulf Coast residents mark 15th anniversary of Katrina
As people in western Louisiana continue to dig out from Hurricane Laura, residents in eastern Louisiana and Mississippi are marking the 15th anniversary of Hurricane Katrina on Saturday.
As people in western Louisiana continue to dig out from Hurricane Laura, residents in eastern Louisiana and Mississippi are marking the 15th anniversary of Hurricane Katrina on Saturday.
Hurricane Laura topples Louisiana Confederate monument weeks after officials voted to keep it
The Calcasieu Parish Police Jury had voted just weeks prior to leave the South’s Defenders Monument on the grounds of the courthouse.
The Calcasieu Parish Police Jury had voted just weeks prior to leave the South’s Defenders Monument on the grounds of the courthouse.
Once a Category 4 hurricane, Laura moves over Arkansas as tropical depression
Laura, once a Category 4 hurricane, weakened to a tropical storm about 11 hours after making landfall along the southwestern Louisiana coast.
Laura, once a Category 4 hurricane, weakened to a tropical storm about 11 hours after making landfall along the southwestern Louisiana coast.
Texas Army National Guard ready to help out in Louisiana
The groups of emergency workers stationed at Ford Pavilion in Beaumont are ready to roll out after Laura left destruction in Louisiana.
The groups of emergency workers stationed at Ford Pavilion in Beaumont are ready to roll out after Laura left destruction in Louisiana.
'Glass falling everywhere': Video, images show damage in the aftermath of Hurricane Laura
Laura pounded the Gulf Coast with heavy wind and torrential rain, unleashing a wall of seawater on cities in its path.
Laura pounded the Gulf Coast with heavy wind and torrential rain, unleashing a wall of seawater on cities in its path.
4 deaths caused by falling trees in Louisiana during Hurricane Laura
The governor of Louisiana says four people, including a 14-year-old girl and an 68-year-old man, were killed by falling trees as Hurricane Laura moved through the state.
The governor of Louisiana says four people, including a 14-year-old girl and an 68-year-old man, were killed by falling trees as Hurricane Laura moved through the state.
Chemical fire billows near Lake Charles in Hurricane Laura’s wake
A fire at a Louisiana chlorine plant erupted with thick, billowing smoke Thursday after Hurricane Laura plowed through part of the country’s petrochemical corridor with storm surges and fierce wind, forcing residents around the plant to shelter in their homes.
A fire at a Louisiana chlorine plant erupted with thick, billowing smoke Thursday after Hurricane Laura plowed through part of the country’s petrochemical corridor with storm surges and fierce wind, forcing residents around the plant to shelter in their homes.
Louisiana sheriff to residents: ‘Write your name... and next of kin and put it in a ziploc bag in your pocket’
The Vermilion Parish Sheriff’s Office issued a mandatory evacuation and grim warning to residents choosing to ride out Hurricane Laura rather than evacuate.
The Vermilion Parish Sheriff’s Office issued a mandatory evacuation and grim warning to residents choosing to ride out Hurricane Laura rather than evacuate.



















