Hurricane Melissa recovery | Forecasting with Friends
Mike Iscovitz and Peyton Galyean talk about the recovery process happening in Jamaica after Hurricane Melissa. Plus, it's Furry Friends Friday and we have some crazy animal videos!
Gear testing power station: Forecasting with Friends
In this episode of Forecasting with Friends, FOX 26 meteorologist John Dawson gives us an extended gear test for a power station.
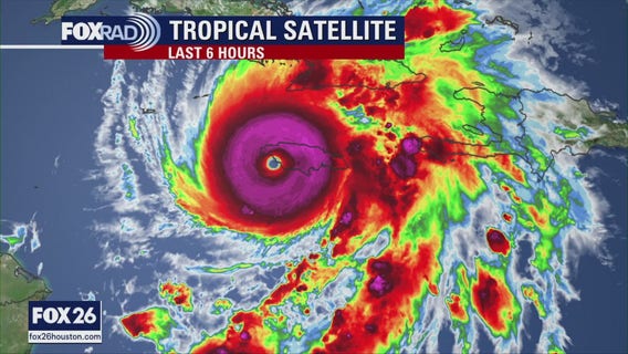
Record-breaking Hurricane Melissa | Forecasting with Friends
The latest on Hurricane Melissa, its path of destruction and how it compares to other hurricanes.
Hurricane Melissa, Houston storm chances, and JD's tooth troubles | Forecasting with friends
As FOX 26 meteorologists Mike Iscovitz and John Dawson track Hurricane Melissa's approach to Jamaica, they're also watching a cold front and storm chances for SE Texas. JD also shares his dentist dilemma while he and Mike try out an emergency(?) advent calendar.
Hurricane Melissa to hit Jamaica as category 5 | Forecasting with Friends
In this episode of Forecasting with Friends, Peyton Galyean talks about the incoming cold front for the area and Hurricane Melissa, a dangerous category 5 hurricane, threatening to hit Jamaica.
Tracking weekend severe weather, Tropical Storm Melissa, and more | Forecasting with Friends
FOX 26 meteorologists Mike Iscovitz and Peyton Galyean have a Friday morning update on the waves of heavy storms expected between Friday night and Sunday morning. They also check out Tropical Storm Melissa, and John Dawson tests out an emergency message device.
Incoming heavy rain for Houston-area | Forecasting with Friends
Chief Meteorologist Mike Iscovitz is joined by Peyton Galyean to talk about the FOX 26 Storm Alert that will go into effect over the weekend by a line of heavy storms. Plus, JD speaks with Shel Winkley from Climate Central.
Heavy weekend rain chances, mosquitos in Iceland, emergency hydration, and more | Forecasting With Friends
The FOX 26 weather team is watching the chances of heavy rain this upcoming weekend. Also, Meteorologists John Dawson and Peyton Galyean try "military-grade" hydration products from Hoist.
Tropical Storm Melissa in the Caribbean Sea | Forecasting With Friends
Chief Meteorologist Mike Iscovitz talks about Tropical Storm Melissa in the Caribbean Sea and tracks its possible path. Plus, John Dawson takes a look around the St. Jude Dream Home and Central Texas facing fire threats.
Drought impacting pumpkins, solar panels, giant donkeys, and more | Forecasting with Friends
As Southeast Texas waits for possible rain, Meteorologists Mike Iscovitz and Peyton Galyean get a live look at pumpkins impacted by droughts, and John Dawson has an extended gear test. Don't forget, it's also furry friends Friday!
All about droughts | Forecasting With Friends
Drought conditions are expanding across Texas. The FOX 26 weather team gets a look at current conditions, how climate change may play a role, and rain chances that could bring some relief.
Nor'easter damage, La Niña predictions, and rain chances for SE Texas | Forecasting With Friends
FOX 26 Meteorologists John Dawson and Peyton Galyean get a look at Houston-area weather, the tropics, and the deadly conditions of Nor'easter in the northeast coast. Peyton explains La Niña's impact on 2026 severe weather season.
Preparing your business for disasters | Forecasting With Friends
Do you have a plan to protect your business during a natural disaster?
Latest Houston weather forecast, monitoring a Nor'Easter, and much more
Join FOX 26 Chief Meteorologist Mike Iscovitz and FOX 26 Meteorologist John Dawson as they discuss the latest weather stories on this edition of "Forecasting With Friends."
Fire danger, furry friends, emergency 'go box' test, and more | Forecasting With Friends
FOX 26 Meteorologist Peyton Galyean is spearheading this episode solo with a look at drought conditions in SE Texas and a heroic dog who led police to an injured owner. Fellow meteorologist John Dawson then tests out a "go box" for emergency supplies.
King tides, Bill Nye, giant pumpkins, and more | Forecasting With Friends
Meteorologist John Dawson shares weather and space-related news for October 8, 2025.
Tropical Storm Jerry forms in the Atlantic | Forecasting with Friends
Join the FOX 26 Weather Team as we talk all things weather.
Forecasting With Friends: October outlook
Join the FOX 26 Weather Team as we talk all things weather.
Falling squirrel caught on video | Forecasting with Friends
Mike Iscovitz and Peyton Galyean have some videos to show you for Furry Friends Friday! Dashcam video shows a squirrel falling onto the hood of a moving car and one man wrangles a python in Florida.
Brushfire danger, swamp flowers, and climate change on fall foliage | Forecasting With Friends
FOX 26 Meteorologists Mike Iscovitz and Peyton Galyean discuss the recent fire danger and weather conditions from Houston and beyond. Meanwhile, John Dawson talks to Climate Central's Shel Winkley about climate change impacting fall foliage.



















